Mountain Homes Realty
Enter City or Zip

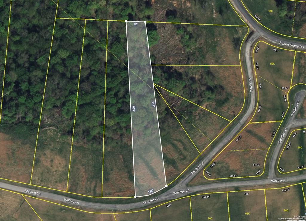
84c mallard rd

Hilham, TN 38568

1.37 AC LOT
Land - Single Family Lot
Image 1
Acreage 1.37
Status Off Market
MLS # 235771
County Clay
More Info
Category Land - Single Family Lot
Status Off Market
Acreage 1.37
MLS # 235771
County Clay
Incredible 1.37 ACRE parcel located in the Elite community of the POINTE At DALE HOLLOW which is PRIVATE & GATED. Community Pavilion & 6500 S/Foot Clubhouse are here with Fitness room, pool, tennis courts, & much more. Best of all this community is SURROUNDED by Dale Hollow Lake which you can see while driving thru the community. Parcel is ready to build upon already Percs for a 3 bedroom home. Would make a beautiful walk out lower level home. Good mixture of cleared flat acreage in the front then transitioning to a treed area in the back. PAVED STREETS. POWER & WATER are at the street side. JUST build your DREAM HOME & RELAX. Imagine Sun Rises & Sun Sets from your back decking? Within 1 mile of Mitchell Creek Marina & 3 miles from CEDAR HILL MARINA & RESORT. Both feature cabins, boat rentals, motel, eateries, house boat rentals. Dale Hollow has so much to offer - Fishing, Scubadiving, Camping & was voted #4 Lake in the Nation to Float Your boat.
Location not available

Exterior Features

  • Garage No
  • Water Public, Utility
  • Sewer Septic Tank
  • Lot Dimensions See Acreage
  • Lot Description See Acreage

Neighborhood & Schools

  • Subdivision Pointe at Dale Hollow

Financial Information

  • Zoning Residentia